LAGOA DA CARIOCA



As pesquisas realizadas na lagoa da Carioca etiveram focadas em três áreas específicas: (a) migração vertical de Chaoborus; (b) avaliação das densidades dos estoques pesqueiros; (c) hidroacústica horizontal e (d) estudos de batimetria. Em relação à primeira questão, os estudos comprovaram os resultados anteriores obitdos por Bezerra Neto (2007), no sentido de que as populações desse diptero realmente não fazem uma migração vertical diurna conspícua no lago. As razões que explicam a ausência desse fenômeno foram muito bem discutidas na tese acima citada. A segunda linha de pesquisas foi voltada à determinação dos estoques de peixes na lagoa da Carioca. Os estudos demonstraram que realmente as densidades de peixes são muito baixas comprovando assim as nossas suposições iniciais. Essas baixas densidades de peixes explicam a ausência do padrão de migração veritcal diurna observado para os dípteros chaoboridae nesse sistema.

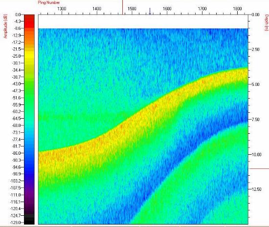
Figura 1 - Ecogramas mostrando as distribuições verticais do diptero chaoboridae na lagoa da Carioca durante o dia (à esquerda), às 10:33 hos. e à noite, às 20:57 hs (à direita). Ecogramas obtidos com a sonda Biosonics DT-X equipada com um transdutor de 200 KHz que é capaz de detectar os chaoboridae. Excursão feita no dia 13 de maio de 2008. Pode-se observar a ausência completa de um claro fenômeno de migração vertical diurnas nas populações do diptero chaoboridae nesse lago. Atribuímos a ausência da MVD às densidades extremamente baixas de peixes que foram observadas nesse ambiente.



Atendendo à uma demanda crescente para prestação de serviços na área de hidroacústica, nós desenvolvemos uma adaptação para o uso do transdutor em diferentes posições e ângulos de abordagem da massa de água. Fizemos um teste inicial com essa adaptação na lagoa D. Helvécio e demonstramos a eficácia dessa aobordagem para o estudo das diferentes comunidades da zona litorânea do lago.



Figura 2 - Ecograma obtido com a sonda Biosonics DT-X com o transdutor posicionado na direção horizontal (em sub-superfície, 0,5 mtros), focando um banco de macrófitas (distante de 10 a 20 metros), às 11:47 horas do dia 13 de maio de 2008.



Os estudos de batimetria foram concentrados na comparação do uso de dois métodos distintos: (a) uso de um GPS convencional e (b) uso do sistema acoplado a um D-GPS. Os resultados mostram claramente que há mesmo a necessidade do uso de um GPS com pós-correção das coordenadas uma vez que os erros na obtenção das coordenadas obtidas com o GPS convencional geraram uma carta batimétrica que não corresponde à realidade. Os resultados dessa pesquisa estão sendo preparados para serem publicados em breve: Bezerra-Neto, J.F. & R.M. Pinto-Coelho. In prep. Batimetria e morfometria da lagoa da Carioca, Parque Estadual do Rio Doce através de hidracústica georeferenciada: uma comparação de métodos.





PORTAL RMPC


Coordenação

Prof. Ricardo Motta Pinto Coelho
RMPC Consultores em Recursos Hídricos
Rua das Hortênsias, 800
CEP 34.000-000 NOVA LIMA (MG)
Telefax: 0XX 31 3517 9793
E-mail: rpcoelho@globo.com

Última atualização em 16 de agosto de 2017
Todos os direitos reservados.